平开型天窗是国标图集21j621-1天窗中的平屋面平天窗,根据结构形式分为单扇上开窗和双扇上开窗两种窗型。下面小编就为大家仔细分析,21j621-1天窗图集中平开型(单扇上开窗)天窗具有哪些鲜明特点。
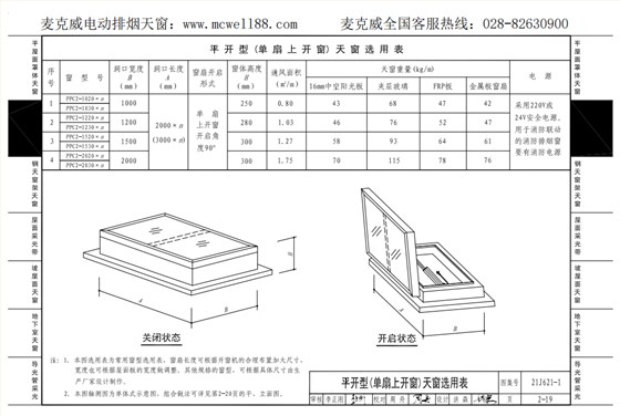
平开型(单扇上开窗)天窗具有一个扇面,可单侧打开,完全开启角度为90°,具有良好的排烟效果。根据21j621-1天窗图集可知,其洞口宽度具有1000mm、1200mm、1500mm和2000mm四个常用规格,洞口长度具有2000mm×n、3000mm×n两种常见规格,其他规格的窗型,可寻找厂家设计制作。
此外,平开型天窗的窗扇常采用16mm中空阳光板、夹层玻璃、FRP采光板、金属板制作,而中空阳光板、夹层玻璃、FRP采光板都具有良好的透光性能,使天窗具有采光功能,增大室内自然采光面积,改善采光效果。而金属板制作的电动采光排烟天窗窗扇,则具有避光性,对于不需要采光的建筑较为适用。
以上就是21j621-1天窗图集中关于平开型(单扇上开窗)天窗的概述,更多详情请见图集。

MCW5型通风天窗(暗扣式)
MCW7型通风天窗(箱型骨架式)
C1XT三角形电动采光排烟天窗(下开式)
TC5型流线型通风天窗