四川麦克威通风设备有限公司
咨询热线:028-82630900
手机:13881905158
传真:028-82630433
邮箱:mcwell@qq.com
办公:成都市青羊区光华东三路489号西环广场2栋
厂址:成都市金堂淮口工业区节能大道(国染大道)
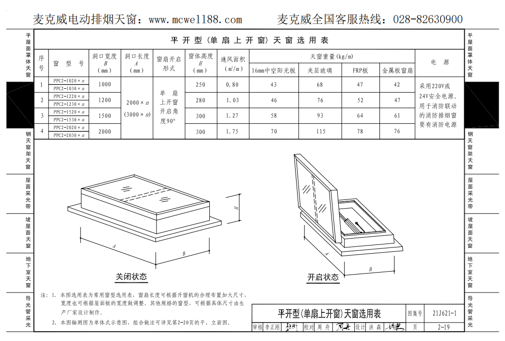
21j621-1天窗图集平开型(单扇上开窗)天窗
平开型(单扇上开窗)天窗具有一个扇面,可单侧打开,完全开启角度为90°,具有良好的排烟效果。根据21j621-1天窗图集可知,其洞口宽度具有1000mm、1200mm、1500mm和2000mm四个常用规格,洞口长度具有2000mm×n、3000mm×n两种常见规格,其他规格的窗型,可寻找厂家设计制作。
此外,平开型天窗的窗扇常采用16mm中空阳光板、夹层玻璃、FRP采光板、金属板制作,而中空阳光板、夹层玻璃、FRP采光板都具有良好的透光性能,使天窗具有采光功能,增大室内自然采光面积,改善采光效果。而金属板制作的电动采光排烟天窗窗扇,则具有避光性,对于不需要采光的建筑较为适用。
以上就是21j621-1天窗图集中关于平开型(单扇上开窗)天窗的概述,更多详情请见图集。
热点产品 / Hot Products
“推荐阅读”
- 2024-01-2818j621-3通风天窗图集设计指南概览
- 2024-02-20探究国标图集21j621-1《天窗》的选型技巧
- 2024-02-2711cj33通风采光天窗图集窗型特点概览






川公网安备 51010502010565号
扫一扫更精彩
扫一扫

